







Gatton QLD 4343
Large land. Spacious design. High-spec inclusions. Fixed price certainty in one of the Lockyer Valley's strongest-performing growth pockets.
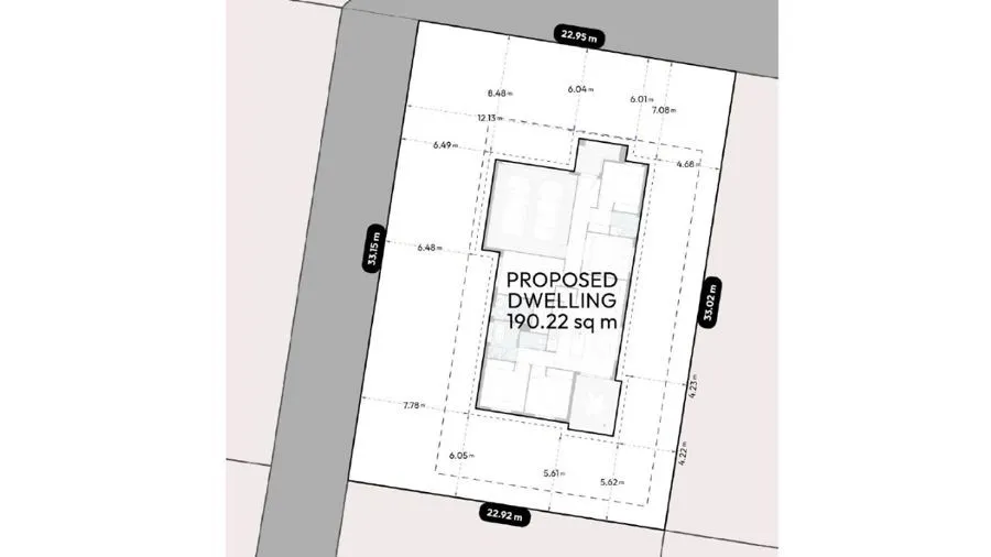
Positioned in Woodchester Estate, Gatton, this impressive Tropea 190 design delivers space, quality and long-term value on a generous 750sqm allotment - a block size that is increasingly hard to secure in new estates.
Offering 190.22sqm under roof, this well-balanced 4-bedroom home includes multiple living zones and a dedicated multipurpose room, making it ideal for families, professionals or investors seeking strong tenant appeal....
Property Tour
Select a time to tour this property. An agent will meet you on site.
Time zone